
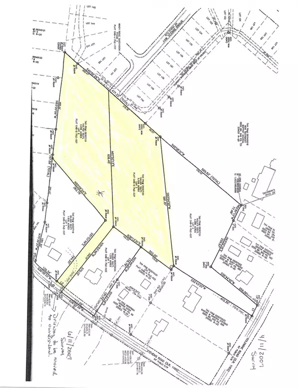
3.3 Acres Lot
3.3 Acres Lot
Key Details
Property Type Vacant Land
Sub Type Acreage
Listing Status Active Under Contract
Purchase Type For Sale
MLS Listing ID 4299630
Lot Size 3.300 Acres
Acres 3.3
Property Sub-Type Acreage
Property Description
Location
State NC
County Union
Zoning AV5
Exterior
Community Features None
Street Surface Other
Building
Lot Description Level, Private, Wooded
Sewer Other - See Remarks
Water Other - See Remarks
Schools
Elementary Schools Rocky River
Middle Schools Monroe
High Schools Monroe
Others
Senior Community false
Restrictions Use
Acceptable Financing Cash, Conventional, Other - See Remarks
Listing Terms Cash, Conventional, Other - See Remarks
Special Listing Condition None

"My job is to find and attract mastery-based agents to the office, protect the culture, and make sure everyone is happy! "



